|
||||||
| 種目 | 所在地 | 土地面積 | 建築条件 | |||
|---|---|---|---|---|---|---|
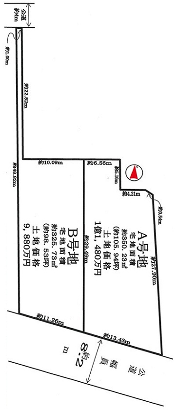
| 売地 | 芦屋市平田町8−14 |
350.94m2 ( 106.15坪 ) | 条件無 | |||
◆南向き陽当たり良好!
◆南側公道幅員約8.2mに間口約13.43mが面した整形地です
◆建築条件なし/お好きなハウスメーカーや工務店で建築可
◆風致地区(第一種低層住居専用地域)の閑静な住宅街です
◆阪神「芦屋駅」徒歩14分/JR「芦屋駅」徒歩21分/JR「芦屋駅」バス6分「テニスコート前」バス停徒歩6分
◆松浜公園(芦屋公園)・徒歩5分/芦屋郵便局・徒歩11分/ローソン芦屋市役所前店・徒歩12分/芦屋市役所・徒歩13分/パントリー芦屋店・徒歩14分
| 物件番号 | Bt28225 | 売り土地 A号地 | |||||||||||||||||
|---|---|---|---|---|---|---|---|---|---|---|---|---|---|---|---|---|---|---|
| 交通 | 阪神本線 阪神芦屋駅まで 徒歩14分 JR東海道線 JR芦屋駅まで 徒歩21分 JR東海道線 JR芦屋駅まで バス6分 停歩6分 |
学校区 | 小学校区:精道小学校 1000m 中学校区:精道中学校 2300m |
|||||||||||||||
| 接道 | 南 8.2m(幅員) 公道 13.43m(接面) | 私道面積 | - | |||||||||||||||
| 現況 | 更地 | 引渡時期 | 即時 | |||||||||||||||
| 建ぺい率 | 40% | 容積率 | 80% | |||||||||||||||
| 用途地域 | 第一種低層住居専用地域 | 取引態様 | 仲介 | |||||||||||||||
| 坪単価 | 108.13万円 | |||||||||||||||||
|
ローンを組むにあたり、月々の返済額をシミュレーションします。
|
||||||||||||||||||
地図
|
|
位置情報に関するご注意:おおよその場所であり、正確ではない場合があります。
![]()
- 株式会社エースホーム
- TEL:0797-38-0500
- FAX:0797-38-5888




