|
売地
[価格]
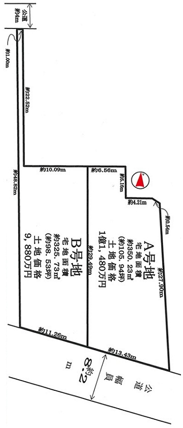
9,880万円
芦屋市平田町8-14
|
||||
|---|---|---|---|---|
| 所在地 | 沿線/駅 バス徒歩 |
土地面積 坪単価 |
現況 引渡時期 |
沿線2 駅名3 |
| 芦屋市平田町8-14 | 阪神本線/阪神芦屋駅 徒歩14分 |
325.73m² 100.27万円 |
更地 即時 |
JR東海道線 JR芦屋駅 |

| 物件番号 | 28224 | ||
|---|---|---|---|
| 交通 | 阪神本線 阪神芦屋駅まで 徒歩14分
JR東海道線 JR芦屋駅まで 徒歩21分 JR東海道線 JR芦屋駅まで バス6分 停歩6分 |
学区 | 精道小学校 1,000m 精道中学校 2,300m |
| 接道状況 | 一方 | 私道面積 | - |
| 建築条件 | 条件無 | 用途地域 | 第一種低層住居専用地域 |
| 建ぺい率1 | 40% | 容積率1 | 80% |
| 取引態様 | 仲介 | 駅名2 | JR芦屋駅 |
| 特色 | 南向き、陽当たり良好、整形地、更地、建築条件なし、2沿線利用可 | ||
| 取引条件有効期限 | 2026年02月09日 | ||
|
地図を右クリックでルート検索が可能です。
|